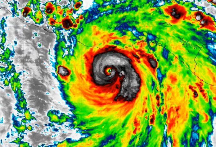
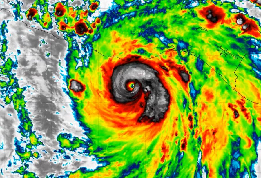
Miami, Florida, 18 de junio.- El huracán “Erick” se intensificó a categoría 3 en la escala Saffir-Simpson, mientras continúa su avance hacia la costa sur del Pacífico mexicano, informó el Centro Nacional de Huracanes (NHC) de Estados Unidos.
De acuerdo con el último boletín del organismo, hacia las 00:00 GMT el ciclón se localizaba a 90 kilómetros de Puerto Ángel, Oaxaca, con vientos sostenidos de 195 kilómetros por hora, considerados “potencialmente catastróficos”.
Las autoridades advierten que el fenómeno traerá consigo vientos devastadores, inundaciones repentinas y un alto riesgo de deslaves, particularmente, en zonas montañosas.
Se prevén afectaciones severas a la infraestructura, así como posibles cortes de energía.
Ante el avance del huracán, se exhorta a la población a mantenerse informada a través de canales oficiales y seguir puntualmente las indicaciones de Protección Civil y autoridades locales.











